Bmw 318i Wiring Diagram E30 Bmw Wiring Diagram 323i Jetronic Info 320i 325i Se Wire 1987 Haynes Techinfo Exx Fuel Injectors Voltage Diagrams Pump
Wiring diagram: 34 bmw e46 wiring diagram pdf
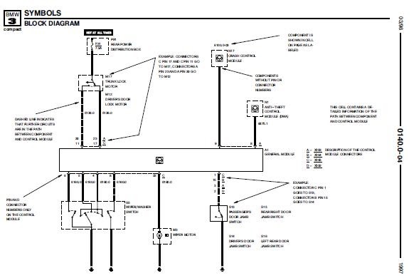
Ews machining smg. Bmw wiring electrical diagrams 535i 1986 system e28 repair 528e power harness manual radio manuals fuse box audi abs 2001. Bmw 318i e36 wiring diagram. Brake lock 1997 bmw anti 318i wiring circuits e36 abs traction control without system relay z3









Tidak ada komentar:
Posting Komentar